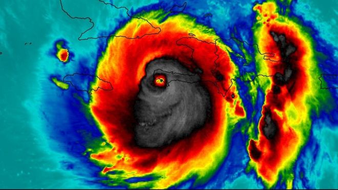
Não foi somente o potencial de destruição que assustou as pessoas. A coincidência é o fato mais horripilante: a imagem ao centro se assemelha muito com um crânio humano, fazendo uma espécie de sorriso perturbador.

Veja:

A tempestade é representada pelas cores vibrantes, enquanto a área escura mostra as nuvens que delineiam o “crânio”. Há, ainda, um “olho” da cor vermelha, que parece “observar” quem está de frente para a imagem.

A fotografia foi divulgada pela Nasa e tomou a internet. Até mesmo quem está fora da região de impacto, visto que o furacão Matthew está em direção aos Estados Unidos, se assustou com a foto.

O furacão Matthew praticamente devastou o Haiti. O fenômeno matou pelo menos 570 pessoas no país da América Latina, além de impactar em Cuba e Bahamas.

Agora, o furacão Matthew está passando pelos Estados Unidos. Uma pessoa foi morta até o momento pelo fenômeno natural. Ao chegar perto da costa da Flórida, ele caiu de categoria 4 para 3 e se aproxima com ventos máximos de 195 km/h. Ainda não é certo que ele chegue a encostar em terra firme.