google.com, pub-3431032328095811, DIRECT, f08c47fec0942fa0
Home / Tag Archives: A assustadora imagem de satélite que mostra o potencial devastador do furacão Matthew

Tag Archives: A assustadora imagem de satélite que mostra o potencial devastador do furacão Matthew

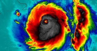
A assustadora imagem de satélite que mostra o potencial devastador do furacão Matthew

 Uma imagem assustadora tem circulado as redes sociais nos últimos dias. O registro mostra o potencial do furacão Matthew, considerado o mais poderoso do oceano Atlântico ao longo da última década. Não foi somente o potencial de destruição que assustou as pessoas. A coincidência é o fato mais horripilante: a ...

Leia Mais »